Delayed bus trips. Hot and sticky ro-ro rides. Long and picturesque boat rides. Taking a dip on impossibly clear waters mirroring the sky’s blue. Sleeping under the stars. Getting woken up by humongous sea turtles on the beach. Beach bumming on creamy pinkish-white sand. Getting feasted on by sea lice. Communing with colorful corals and fishes. Coming close to drowning. Sipping the best shake in Sablayan while waiting several hours for the bus due to a schedule mix-up.
My journey to and snorkeling at Apo Reef Natural Park in Sablayan, Occidental Mindoro just the other weekend made for a series of adventures and misadventures.
At around 34 square kilometers, Apo Reef Natural Park is the second largest contiguous coral reef system in the world (yes, just after the Great Barrier Reef) and is known to be one of the best marine sanctuaries in the Philippines. It is sometimes confused with Apo Island marine sanctuary in Zamboanguita, Negros Oriental, less than an hour from Dumaguete.
Apo Reef’s beauty over and under water
Here’s what I learned from my and my travel companions’ Apo Reef winning moments and fails, most of which could have been averted. May these help you too, as you map your own adventure.
1) DO plan your transportation IN DETAIL, especially if you are going by land. (For backpackers, DON’T forget the ro-ro!)
Do you want an easy trip, or do you like roughing it? If you are coming from Manila and you prefer a hassle-free commute, take the plane to San Jose, Occidental Mindoro. From the airport, take a tricycle to the Dimple Star bus station then take the three-hour ride to Sablayan. From Sablayan, you can charter a boat to Apo Reef, which will take another two and a half hours.
The land trip, which takes ideally eight hours to Sablayan (we took ten), is trickier. After taking it, I wouldn’t exactly recommend it. Our bus trip was delayed by almost three hours, and we had trouble finding seats, even though we had reservations – turned out the bus conductor gave our seats to others before the bus passed by Alabang terminal, where we waited. Dong Ho, our organizer, had to sit on a stool – and try to sleep – for more than two hours.
I would recommend taking another bus, if only there were another bus company. But no, Dimple Star Bus Liner (contact number +632-4759024) is so far the only one with routes to Sablayan, the jump-off point to Apo Reef. The best you can do is to keep reminding the bus liner of your reservation if you will not be riding from the first departure point – or, better yet, just ride from there to secure your seat.
The ro-ro part of the trip is trickier. You have to make sure you take a bus trip that will arrive in time for the ro-ro trip from Batangas City to Abra de Ilog, Mindoro, or you will find yourself waiting for another three or four hours. Note that travel time from Manila to Batangas City is two to three hours, depending on the traffic. To be sure of the ro-ro schedules, contact Montenegro Shipping Lines or the port manager (number below).
The ro-ro schedules, as seen on our trip the other weekend. Photo by Dong Ho
Once you get in the ro-ro, be prepared to endure two and a half hours of heat and discomfort, even at nighttime, as the air conditioner is broken (I hope they fix it when you finally go on your own trip). As my travel companion Kat quipped, we were like goods for transport. Sleeping was a great achievement.
After the sticky ride, we boarded the bus again for another three hours before reaching Sablayan. Many of us were sitting at the back, but some of us moved to the middle, thanks to a kind local who advised us that the ride was going to be bumpy soon, and the back of the bus was not a good place to be.
2) DO coordinate with Sablayan tourism office or with a travel agency, but DON’T leave everything to them.
Are you prepared to splurge on an island resort, or do you prefer camping? You have to consider things like this when planning your Apo Reef itinerary. We opted to camp at Apo Island, and so we had to bring and rent camping essentials like tents, headlamps or flash lights, cooking equipment, and water, as there is no drinking water at Apo Island. Thanks to the tourism office, we did not have to bring our own tents or cook our own food (and boy, did they cook up a feast!). They also helped us plan our itinerary.
Roughing it, and at the same time being pampered with good food
But you have to research on your own, too, to prevent mishaps like what we experienced. We hurried back to Sablayan from Apo Reef to catch the 2:30 pm bus, where we thought the tourism office reserved seats for us, only to find out when we arrived that we would instead be taking the 5 pm bus, because the next ro-ro boat bound for Batangas is 10 pm. Instead of waiting at the port, we would be waiting at Sablayan.
Had we known this in advance, we would have stayed longer at Apo Reef.
Even if a third party is organizing your itinerary, make sure you ask questions and involve yourself in the details to avoid unpleasant surprises later on.
Sablayan Ecotourism Office contact details: amazing.sablayan@gmail.com / +63928-4659585
3) DO explore Apo Island.
Apo Reef is not only about underwater wonders, but amazing beaches, sunrises, sunsets – if you’re lucky, you will also see moonrises and moonsets – and other sights, especially in Apo Island. There are waters so clear you can see the sandy bottom, creamy pinkish white sand similar to the popular pinkish Sta. Cruz Islands in Zamboanga, a mangrove forest, a quiet lagoon, rock formations, and a stunning view from the lighthouse. Take time to explore all these, which can easily be reached by foot.
Waters so clear they seem unreal
The sand is quite fine – with a scattering of corals – on the shore, but when you go to the water the sand becomes smooth tiny pebbles.
The stark white lighthouse at Apo Island is simple but looks dramatic framing the scenery and the sky.
The lagoon and mangroves as seen from the lighthouse
More great views from the lighthouse
4) DO pray, but DON’T always expect a spectacular underwater show.
Because of Apo Reef’s reputation as one of the best reefs, I had high expectations. I’ve also read about shark sightings in Apo Reef, visible not only to divers, but also to snorkelers. And yes, pawikans (sea turtles) are a common sight.
But snorkeling is a gamble, to rephrase diver Benj Espina. While you can increase your chances of sightings by going to great spots, sometimes you don’t know what you will see or not see. For example, it took him more than a hundred dives to see his first manta ray.
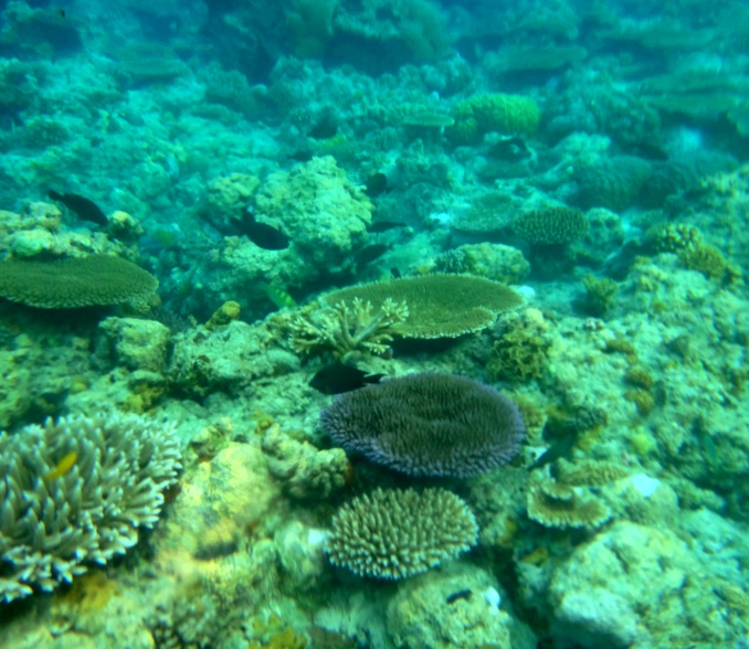
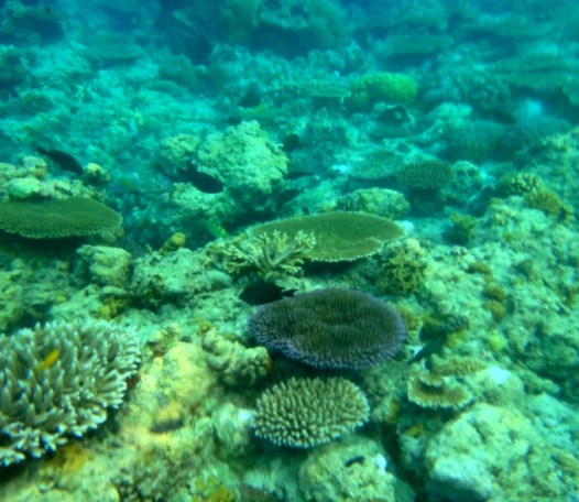
During my snorkeling near Apo Island, I saw colorful corals and schools of fish, but nothing that really made me go “wow.” Some of my travel buddies who snorkeled ahead did see a pawikan (sea turtle), though.
Beautiful, but not exactly spectacular for someone who has high expectations
The next morning was the supposed highlight of our adventure. I read how guided snorkeling, where an outrigger boat pulls snorkelers across the reef, can take up to two hours. I was so excited – I had even prepared my camera’s extra battery for it.
But visibility turned out to be poor, and scores of sea lice attacked us. We had to cut the tour short and just pick a spot where the waters were clearer. And, guess where it was? It was the same area we snorkeled the day before – only, it was now high tide, so we were not as close to the marine life as I wished.
Apo Reef was unlike my other snorkeling experiences, especially Moalboal, where the Universe spoiled me rotten. I saw a whale shark for the first time – and in an unexpected sighting, no less! It was also my first time to see a sea turtle, and later another one, gracefully gliding – almost flying – in the blue water. There was also Danjugan Island, where I did not even have to snorkel to see moray eels and baby sharks. While I considered those encounters as amazing and unexpected gifts from the universe, I have to admit I started expecting after that.
At Apo Reef, though, the sea humbled me, reminding me that I am not entitled to a show of its creatures. I am again learning to be open – hoping for the best, but not expecting.
Snorkeling, or any adventure, is about appreciating what is there. At Apo Reef, I loved how the clear waters made the corals and the fish seem part of the sky.
Proceed to Part 2 of this list, with the breakdown of our trip expenses.













Wow the water’s soooooo clear! Never been to apo reef. Great tips! Sana makasama din kita sa trip minsan 🙂
We can arrange that. 😉
ASTIG TO.. CHEERS!
Thanks!
Pingback: 10 Things to Do (And Not Do) to Have a Fun, Smooth-Sailing Apo Reef Adventure -Part 2 | Traveling Light
Hey there! I’ve been following your blog for a long time now and finally got the bravery to go ahead and give
you a shout out from Porter Texas! Just wanted to say keep
up the great work!
Thank you so much!
Pingback: 30 Best Beaches in the Philippines According to Travel Bloggers (Part 3) - PhilippineBeaches.org
Apo Reef plus Pandan Island was so far my best sea activity experience. It was my first time to swim with 4 pawikans altogether and lucky us that they seem not so shy to us. True it was! The water was so clear that the sky and the sea are emerging!! Nakakamiss na ang yung Apo Reef!!! Nice post keep it up!!
I was not able to swim with a pawikan but I saw them on the sand, looking for a place to lay eggs. 🙂
Oo nga, nakakamiss ang Apo Reef. Thanks for the kind comment! 🙂
Im still confused about the difference of Apo reef and Apo Island..but this is Apo Island right? In Negro Oriental? Because im sure I read thats the Place of the lighthouse. Anyways, we are going there in a couple of months, and camping on the island looks great. Where did u rent the tents and is there any special tips on where to/not to camp? thanks!
Hi, Marie! Apo Island in Apo Reef is in Occidental Mindoro (that’s what I wrote about here). There is another Apo Island in Negros Oriental. Both of these places have rich marine life, though. But Apo Reef is bigger. 🙂 Yes, when we were there we just rented tents, though you can also bring your own. If you are not sure re: camping, you can always ask your guide for help. All I know is not to camp too near the shore so that the waves during high tide won’t reach the tent. Enjoy!
Pingback: 30 BEST BEACHES in the Philippines According to Travel Bloggers (Part 3) | It's more fun in the Philippines
I wanna go here pls.notify me if you have plans thank you.
how much was the boat ride to apo reef?
I think rate has increased to P8,000 now. Kindly check with tourism office (Contact details on the post).
Thank youu for writing this